Did the media and weather forecasters over-hype Hurricane Matthew? .@BigJoeBastardi answers that question
Joe Bastardi is WeatherBELL Analytics Chief Meteorologist

REUTERS/Javier Galeano
Joe Bastardi is WeatherBELL Analytics Chief Meteorologist

REUTERS/Javier Galeano
The Mike Gallagher Show

Clown Motel. Photo: Betthany / Flickr (CC)
Joseph D’Aleo was a co founder and the first Director of Meteorology at the cable TV Weather Channel

NASA/NOAA GOES Project/Handout via REUTERS
From TownHall.com, “BREAKING: FBI Made ‘Side Deals’ to Destroy Top Clinton Aides’ Laptops”

REUTERS/Brian Snyder
Eric Trump is a Vice President with the Trump organization

REUTERS/Jonathan Ernst
David Bossie and Mike Gallagher

REUTERS/Rick Wilking
Joe Bastardi is the WeatherBELL Analytics Chief Meteorologist

REUTERS/Alexandre Meneghini
Sen Jeff Sessions is a Republican from Alabama

REUTERS/Kevin Lamarque
From Mediaite, “MSNBC’s Chris Matthews: ‘Strong’ Mike Pence Won the Debate Over ‘Desperate’ Tim Kaine”

REUTERS/Jonathan Ernst

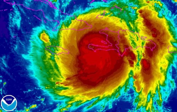
NOAA/Handout via REUTERS
Lis Wiehl currently serves as a legal analyst for FOX News Channel

Rudy Giuliani is the former Mayor of New York City

REUTERS/Mike Segar
From TownHall.com, “BREAKING: FBI Made ‘Side Deals’ to Destroy Top Clinton Aides’ Laptops”

REUTERS/Brian Snyder

From Investor’s Business Daily, “Stephen Moore: Hillary’s False Charges Of ‘Trickle-Down Economics'”

REUTERS/Mike Segar
Otherwise sensible people are supporting a presidential candidate they know will do irrepairable damage to the Supreme Court; bastions of journalism like the NY Times are publishing tax returns,despite the release of such returns being a felony, in a last ditch effort to do everything they can do stop the GOP candidate; a major announcement scheduled for tomorrow by the Wilkileaks founder about Hillary documents has been mysteriously cancelled due to “security concerns”; and people generally have a sense of malaise and dread. We have 35 days to go on this wild ride. I have one single piece of advice: don’t forget the power of prayer. Now, more than ever. – MG
From The Wall Street Journal, “Party Loyalty Can’t Make Me Vote for Clinton”

REUTERS/Mike Segar
From NBC New York, “Parents Who Saved for Months to Take Kids to Disney World Killed in Crash”

REUTERS/Darren Staples
The Gallagher's Heroes: Fallen Officer Fund was founded to meet the immediate needs of U.S. police officer families when an officer has been killed in the line of duty.
Learn More